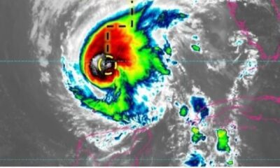
El huracán Rafael ganó fuerza en las últimas horas y es casi un huracán de categoría 3, con vientos máximos sostenidos de 175 kilómetros por hora...