Internacionales
El huracán Rafael gana fuerza en el centro del Golfo de México
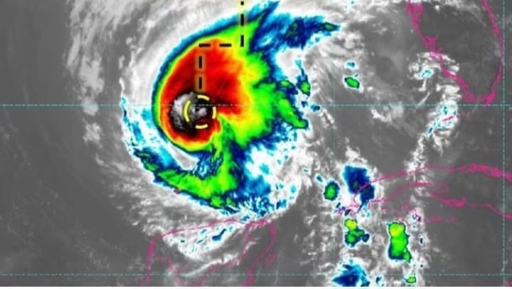
El huracán Rafael ganó fuerza en las últimas horas y es casi un huracán de categoría 3, con vientos máximos sostenidos de 175 kilómetros por hora (110 millas), mientras se mueve por el centro del Golfo de México.
De acuerdo al Centro Nacional de Huracanes (NHC, en inglés) de EE.UU. Rafael se ubica a 365 kilómetros (230 millas) al nornoreste de Progreso, en México, donde se producen fuertes precipitaciones relacionadas a este sistema.
El huracán, que por el momento no ha merecido alertas en zonas costeras, se mueve hacia el oeste a 15 kilómetros por hora (9 millas), y se espera que el sistema continúe desplazándose sobre el Golfo de México rumbo al oeste, con una disminución de la velocidad.
El sistema no supone una amenaza a zonas costeras, tras haber impactado en Cuba, donde dejó más de 3.000 viviendas dañadas en las provincias de Artemisa y Mayabeque, así como en las caribeñas Islas Caimán y Jamaica.
Según la Administración Nacional de Océanos y Atmósfera de Estados Unidos (NOAA, en inglés), la temporada de huracanes en el Atlántico, que comenzó oficialmente el 1 de junio y finaliza el próximo 30 de noviembre, tendrá una actividad «por encima» del promedio, con entre 8 y 13 huracanes, de los cuales entre 4 y 7 serían de categoría mayor.
Desde que comenzó la temporada de este año se han formado once huracanes: Beryl, Debby, Ernesto, Francine, Helene, Isaac, Kirk, Lesley, Milton, Óscar y Rafael, de los cuales Beryl y Milton alcanzaron la categoría 5, la máxima en la escala de intensidad Saffir-Simpson.
